The Barrier Reef

Back to Australia
Well this was just fantastic. One of the things I had most wanted to do during the whole trip was to visit the reef and in my first stop in Queensland, at Port Douglas, I stepped aboard the Wavelength for the day.

Splashing out on a day trip to the reef with three snorkel dives was well worth it. The food on board the Wavelength was good and the constant stream of tea and coffee welcomed between dives. But of course I did not come here to eat (no, honest - not this time) and the underwater scenery was fantastic. On the first snorkel I saw a shark whizz by me just a few metres away at eye level - I had soooo wanted to see a shark and was not expecting it straight away. I really wanted to follow it and see what it was up to, but there is no keeping up with these babies.

As always with underwater disposable jobbies the pictures never match up to the real thing (though I was pleased with a lot of the shots).

Well here it is, lots of different types of coral and loads of little fishies to boot - just like on TV.

The variety really is amazing and you could hear the endless grinding noise of parrot fish gnawing on the coral quite clearly wherever you went.

The coral I was trying to take a picture of here was such a strong colour of blue - which really was not captured on film too well in the end.

I think I waited too long to take the shot and a cloud went over right at the wrong moment, you can make out the blue on the branches and it just looked like a mini forest of blue tree stumps!

One of the resident fishes - very territorial.

This large napolean wrasse would not let divers in the water until he had been fed a few tid bits of squid. As the diving outfit I was with had private locations on the reef the wrasse had become familiar with the owners and usually always shows up when the boat arrives.

A great way to start exploring the reef with a 2 metre giant weighing a couple of hundred kilos nudging you!

Boulder coral.

Every so often I came across these large boulders. Originally I had thought that the coral had grown around the outside of a large rock, but no, they were 100% coral and were just another variant. Brain coral is one of my favourite ones, it looks great, but no sign of any down here - think I got some pictures over in Hawaii of some.

Oooo. My second shark sighting.

After seeing the first so close up it was nice to catch this one on film at a distance. I was at the surface and it was on the bottom (snuffling for truffles no doubt). Weaving along the edge of the coral wall I happened to be looking down and spotted him, it was great to watch it for a longer length time and see how it moved. Not the best of pics but you can clearly see its outline.

Something I really did not expect to see.

After seeing them in the tanks on Hawaii and being amazed, it was even better to see one out in the Ocean! Our guide, John, proved to us the stories about getting limbs trapped in the jaws of a giant clam and drowning were not true by sticking his arm in - and not drowning. Apparently the bigger they are the more unlikely your are to get trapped due to the excess of fleshy material around the 'jaw'. Beautiful rich colour it was too.

I liked this picture because of the contrast between the red colour of the fish and the faded, washed out colours of coral below. The reason you see more of a blue background is due to light being absorbed at different depths - red is the first to go, then orange, yellow, green follow quickly after with blue tints being the last to be absorbed.

The fish were pretty inquisitive (though cautious) and would usually not be bothered by a human shaped body floating nearby.

Err... a close up of one of the corals is all I can comment on this little number. If I remember rightly it was quite a large piece of coral.

Fan coral was something that I would have quite liked to have seen, but I think that occurs in more tropical locations.

Just another little fishy swimming by.

Ahhh now this is quite a nice shot, even if I do say so myself. Now there is an idea, perhaps for particular shots I should make available to you a better quality picture, full size rather than these chopped down versions. Will consider it, wont be difficult to do at all.

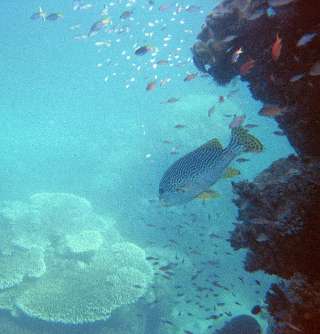
What I like about this shot is having the reef wall on the right, with the large spotted fish surrounded by the smaller ones, and then the faded coral in distance behind it.

Here you can see just how shallow the water can be in places, with the reef reflecting off the surface.

This small shoal of little blue fishes caught my eye as they darted in and out of the coral. No doubt trying to get away from me and my camera!

Us and 'the boat'